El cuerpo sin vida del menor de tres años de edad, Iker Gaspar Ramírez, fue localizado en la Ranchería Carrasco, Colotepec, en la Costa de Oaxaca, después de casi 10 horas de haber desaparecido cuando la camioneta en la que viajaba fue arrastrada por la corriente del...
Arroyo arrastra a menor de 3 años en la Costa de Oaxaca; no ha sido localizado
Un menor de tres años de edad fue arrastrado por la corriente del arroyo Mata de Bule, en Valdeflores, Colotepec, en la Costa de Oaxaca, mientras la camioneta en la que viajaba intentó cruzar el afluente, crecido por las últimas lluvias que han azotado la zona,...
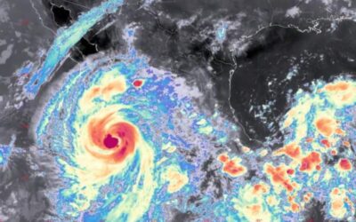
Huracán Priscilla se intensifica a categoría 2 frente a costas de México, genera alertas por lluvias intensas
Este 7 de octubre, a las 06:00 horas, el huracán Priscilla, el decimosexto ciclón tropical de la temporada 2025 en el Pacífico mexicano, se intensificó a categoría 2 en la escala Saffir-Simpson, con vientos máximos sostenidos de 140 km/h y ráfagas de 170 km/h, reportó...
Presas de Oaxaca alcanzan niveles óptimos; garantizado el próximo ciclo agrícola: Protección Civil
Durante la conferencia de prensa del gobernador Salomón Jara Cruz, el coordinador estatal de Protección Civil y Gestión de Riesgos, Manuel Maza Sánchez, informó que las presas del estado se encuentran al 100% de su capacidad, lo que garantiza el abasto de agua para el...
La transformación avanza a un año de gobierno de Sheinbaum, destaca Nino Morales
La transformación avanza a un año de gobierno de Sheinbaum, destaca Nino MoralesLa transformación avanza en todo el país, exaltó el senador oaxaqueño Antonino Morales Toledo, luego de participar en la calenda para celebrar el primer año de gobierno de la Presidenta...
Concluye con éxito el primer mes de la iniciativa “VIHsión Hospitalaria”: Coesida
Concluye con éxito el primer mes de la iniciativa “VIHsión Hospitalaria”: Coesida* Se aplicaron mil 900 pruebas rápidas de VIH, Sífilis y Hepatitis C a personas usuarias y personal de salud de dos nosocomios de OaxacaSan Bartolo Coyotepec, Oax. 2 de octubre de 2025.-...
Avanza la pavimentación de la calle Emiliano zapata, que mejora la conexión del norte de Juchitan.
Avanza la pavimentación de la calle Emiliano zapata, que mejora la conexión del norte de Juchitan.Miguel Quetu impulsa pavimentaciones que recuperan calles y mejoran la movilidad en Juchitán.La calle Emiliano Zapata es la vía central de la colonia “Tierra y...
Diputado Juan Marcelino Sánchez es electo como presidente de la Diputación Permanente
Recinto LegislativoSan Raymundo Jalpan, Centro, Oaxaca.En sesión ordinaria, el pleno del Congreso del Estado eligió al diputado Juan Marcelino Sánchez Valdivieso como presidente de la Diputación Permanente para el segundo receso del primer año de ejercicio legal de la...
Transcurren en paz elecciones por Sistemas Normativos Indígenas en Oaxaca: Sego
Transcurren en paz elecciones por Sistemas Normativos Indígenas en Oaxaca: Sego• El secretario de Gobierno reportó un avance del 37 por ciento en los comicios; algunas comunidades destacan por inclusión histórica de mujeresOaxaca de Juárez, Oax., 29 de septiembre de...
Oaxaca cerca de alcanzar la autosuficiencia alimentaria en maíz: Sefader
La producción de maíz en Oaxaca alcanzó 771 mil toneladas al cierre de 2024, un aumento frente a las 550 mil toneladas registradas en diciembre de 2022, lo que coloca al estado a menos de 30 mil toneladas de lograr la autosuficiencia alimentaria.Así lo dio a conocer...
Publicidad










